Texas Railroad History - Tower 133 - Lancaster
A Crossing of the Missouri - Kansas - Texas Railroad and the Houston & Texas Central Railway
The town of Lancaster in southern Dallas County was founded in the 1850s and had a Post Office by 1860. In
1872, it appeared to be
geographically positioned to become a stop on the first railroad into Dallas County,
the Houston & Texas Central (H&TC) Railway, which was building north toward the
Red River. Instead, the rail line passed four miles east through
the tiny community of Prairie Valley (later renamed Wilmer.)
Denison was reached the following year and there, the H&TC connected with the Missouri -
Kansas - Texas (MKT, "Katy") Railroad which had built south through Indian
Territory and bridged the Red River. As traffic began to flow along the H&TC's
line, it was Prairie Valley and, four miles farther north, the new town of Hutchins (named for an early
H&TC investor) that saw trains in southern Dallas
County, not the more established town of Lancaster.
The arrival and
immediate success of "the Central", as the H&TC was known, motivated nearby
towns to begin seeking rail connections to it. On December 27, 1875,
citizens of Lancaster held an organizational meeting to discuss getting access
to the H&TC with a "tap
line", a term frequently used in that era to describe a
rail line
from a town without a railroad to the nearest main line that could be "tapped"
for service. The consensus was that a Lancaster Tap Railroad should be
built to connect Lancaster with the H&TC at either Prairie Valley, only four
miles east, or Hutchins, about five miles northeast. The meeting was reported to the
Dallas Daily Herald in a
Letter to the Editor dated January 15, 1876. The author of the letter self-identified as "J. H. S.", presumably Dr. James H. Swindells who is mentioned in
the letter as the appointed Secretary of the Lancaster committee.
![]() |
Left:
Letter to the Editor, the Dallas Daily Herald, January 21, 1876
edition. The letter
states the committee's conclusion
that the cost of obtaining all of the necessary right-of-way to Hutchins would be unreasonable, in
addition to
the expense for an extra mile of construction. Instead, building a 3.8 mile
line due east using "wooden rails covered with strap iron ... bolted to the wood"
would be feasible for $12,500 and could be accomplished very quickly. The
line could be operated "for two or three years as a tramway." The
tramway never materialized, but the citizens of Lancaster were not
deterred. An article in the Dallas Weekly Herald
of August 13, 1885 (below)
described a recent "session" to discuss the Lancaster Tap. The article
mentions that Lancaster "fully guaranteed" the railroad's up
front demand for $5,000, plus land for a depot and right-of-way in
town. Unfortunately for Lancaster, the H&TC's bankruptcy in 1885 delayed the project for a few years.![]() ![]() Above: Lancaster is one corner of a triangle of railroad towns in southern Dallas County along with Wilmer and Hutchins. The construction of the Dallas & Waco Railway (at the behest of the Katy) through Lancaster in 1888 might have alleviated Lancaster's need for the "Tap", but it was nonetheless built in 1889-1890. |
Despite the earnest intentions of the citizens of
Lancaster, neither the tramway to Wilmer nor the tap line to Hutchins
materialized out of the initial meeting in 1875. It was more than a
decade later in 1888 that Lancaster finally obtained rail service, but it was not the
Lancaster Tap. The Dallas & Waco (D&W) Railway built south out of
Dallas,
passing through Lancaster and Waxahachie on its way to reaching
Hillsboro in
1891. The D&W had been sponsored by the Katy and was formally merged into the
Katy in 1891. The line became substantially more valuable in 1907
when the Katy sold trackage rights between Waxahachie and Dallas to the Trinity
& Brazos Valley (T&BV) Railway. This helped to complete the T&BV's line between
Houston and Dallas, a route that remains in active use today by Burlington
Northern Santa Fe (BNSF) Railway.
If the arrival of the Katy in Lancaster
spurred a renewed interest in the idea of the Lancaster Tap, that interest appears to
have been primarily on the part of the H&TC. Perhaps
the H&TC simply wanted to compete with the Katy for traffic at Lancaster. While the
details of the planning and financing have not been uncovered,
it's clear that in late 1890, a railroad named the Lancaster Tap began operating the five miles
between Lancaster and the H&TC main line at Hutchins. The leading authority on
Texas railroad history, S. G. Reed, has little to say about the origins of
the Lancaster Tap Railroad in his authoritative book A
History of the Texas Railroads (St. Clair Publishing Co., 1941.)
During the years 1889 and 1890 funds had been advanced by the H. & T. C. for the building of a line 4.75 miles in length from Hutchins, ten miles south of Dallas to Lancaster which was called the Lancaster Tap. No charter was ever taken out for this road. It was purchased by the H. & T. C., on September 30, 1905, for the sum of $50,000 payable in ten years.
The Lancaster Tap appears in Valuation Reports, Vol. 36 published by the Interstate Commerce Commission (ICC) in 1932.

The H&TC was forced into receivership in 1885, even
though it had come under the control of Southern Pacific (SP) two years earlier. Three Receivers were named by the bankruptcy court,
but two of them departed the case at the outset and only Charles Dillingham
remained. From the ICC description, it appears that Dillingham (either on his
own assessment or more likely on recommendation of
railroad management) acquired rights-of-way and construction rights between
Lancaster and Hutchins. This would correspond to Reed's
declaration that "funds had been advanced by the H&TC"
(which also implies that Dillingham was acting in an official capacity as H&TC
Receiver, not on his own as a private investor.) Edward Pardee then paid $2,000 for
these assets on September 6, 1890. Pardee owned the line for
more than a decade before he sold it to George Thornton in 1903 for "$1 and other valuable consideration". In 1905, Thornton sold the
property to the H&TC for "$50,000, payable in ten years."
While details are lacking, the financial arrangements certainly appear unusual. From
the ICC description, and confirmed by newspaper articles at the time, it is clear that when Pardee acquired the
deed and other assets from Dillingham for
$2,000 in September, 1890, construction of the Lancaster Tap had already
been completed. But how did a railroad in bankruptcy acquire the capital to build five
miles of railroad, and why would it then sell the whole thing for $2,000? Most likely (but nonetheless speculation), Pardee (or
perhaps a syndicate
led by him) had provided the cash flow to build the line, and there's evidence that he did so by
using H&TC's
construction forces (essentially hiring the H&TC to build itself!) The transaction with Dillingham was simply the final step,
i.e. Dillingham acquired and held the track easements and construction rights as
security for the line's completion. When the job was finished, Dillingham sold
them to Pardee, almost certainly in exchange for
a period of exclusive rights to operate Pardee's new Lancaster Tap as part of
the H&TC. This would have been a favorable arrangement for Dillingham since,
in receivership, internal funding for capital projects of this nature would have
required approval of the bankruptcy judge. Instead, the H&TC would incur minimal cash
outlay (for construction rights and track easements) for the Lancaster Tap project; funding for labor and materials was
(presumably) provided by Pardee. The low final price paid by Pardee would then
reflect the substantial construction
expense he had already incurred, most likely under a prior agreement with
Dillingham. As owner, Pardee may or may not have received dividends
from the H&TC related to the line's operation, but he certainly expected to sell
the Lancaster Tap to the H&TC in the future at a tidy profit.

Above Left: The
Fort Worth Weekly Gazette of February 28,
1890 mentions that only a mile of grading remains to be accomplished before tie
laying can commence. Given typical wet winter weather in north Texas,
construction must have begun in 1889. Above Right:
The Fort Worth Weekly Gazette of April
17, 1890 states that track laying has begun (implied to be at Hutchins) while
the final grading "at this end of the line" (Lancaster) is expected to be
concluded within the week. Since the grading was "not quite finished" yet there
was only a mile to complete as of late February, the month of March likely saw
considerable precipitation, delaying progress. Below Left:
The Galveston Daily News of May 26,
1890 reports that a shortage of crossties has temporarily stopped construction
on the Lancaster Tap. Below Right:
An article in the Galveston Daily News
of August 15, 1890 (but datelined the day before) anticipates that "regular
trains" (i.e. not "construction trains") will begin to serve Lancaster from Hutchins the following day. Perhaps
significantly, the article attributes the "large" construction force directly to
the H&TC.

The theory that Pardee funded the construction while
Dillingham held title to the right-of-way easements and other assets is
compatible with the fact that the Lancaster Tap was never chartered. The H&TC
was in receivership, certainly in no position to pursue a charter from the Legislature,
especially for a line it would not own when completed. Pardee, either out of
ignorance or daring, did not seek a charter, knowing the entire enterprise was
ultimately to be operated as part of the H&TC. Thus, despite the fact that the
Lancaster Tap had no legal right to exist under Texas law, it was providing a
valuable service to Lancaster. The State of Texas had
little impetus to file a lawsuit to shut it down and they did not do so. Had
they filed suit, it
would have been to vindicate state law, but the state was already litigating a
suit under that law claiming that SP's ownership of the Austin & Northwestern
(A&NW) Railroad had never been authorized by the Legislature. A favorable ruling
in that court would suffice to establish the validity of Texas law requiring
charters from the Legislature to authorize routes and consolidations. There was
no need to take action against the Lancaster Tap.
Newspaper articles for
the next decade show the H&TC paying taxes for the Lancaster Tap while operating
it
and incorporating it into reports submitted to the Railroad Commission of Texas
(RCT). The H&TC nonetheless recognized the need for a charter amendment from the Legislature
to allow it to merge the Lancaster Tap and several other railroads. Early in the
new legislative session that convened in January, 1899, a bill amending the
H&TC's charter was passed to allow it to acquire the Lancaster Tap and the other
railroads. Texas Governor Joseph Sayers vetoed the legislation, citing
interference with the on-going court case against SP's ownership of the A&NW. The bill would, in fact,
have ended that lawsuit by legalizing SP's ownership of the A&NW through the H&TC.
Two years later, the H&TC continued to press its case in the Legislature for
approval to acquire the Lancaster Tap and other railroads. The law was
finally enacted and took affect on July 7, 1901.
![]() ![]() |
Left Top:
The Galveston Daily News of
Nov. 28, 1895 reported H&TC's quarterly passenger revenue taxes, of
which the Lancaster Tap was listed first among the several railroads the
H&TC was operating. Right: The Houston Daily Post of February 16, 1897 had an article on "Railway Taxes" which included the Lancaster Tap and other H&TC operating accounts. Left Bottom: This paragraph is from an article in the Galveston Tribune of March 16, 1899 discussing various activities in progress at the current legislative session in Austin, including the governor's recent veto of the bill authorizing the H&TC to acquire ownership of several railroads. |
![]() |
|
Left:
The La Grange Journal of
January 3, 1901 carried this official announcement by the H&TC that it
was applying to the newly convened 27th Texas Legislature for a "local or
special law" to authorize it to formally acquire several railroads. Right Top: The Galveston Tribune of February 8, 1901 mentioned that a bill had been introduced in the Texas Senate to allow the H&TC to proceed with its proposed acquisitions. Right Middle: The Bastrop Advertiser of March 2, 1901 reported that a committee of the Texas House had voted to send the H&TC consolidation bill to the House floor. Right Bottom: The McKinney Democrat newspaper carried announcements of newly enacted railroad laws. This one, in the May 2, 1901 issue, covered the law granting the H&TC's request to acquire several railroads. The summary does not state whether the governor signed the bill into law. It's possible the governor vetoed the bill and the veto was overridden by the Legislature. Gov. Sayers had vetoed essentially the same bill two years earlier. He remained in office by being reelected in November, 1900. |
![]() ![]() |
By the summer of 1901, the H&TC had the necessary legal
authorization to purchase and consolidate the railroads it was operating, but
its acquisition of the Lancaster Tap did not occur until four years later,
September 30, 1905. Meanwhile, Edward Pardee sold the Tap to George Thornton on
July 15, 1903. The ICC was unable to uncover details of the "valuable
consideration" that Pardee received in making the sale to Thornton for $1.
Building southwest from Hutchins, the H&TC tracks at Lancaster crossed the
Katy roughly a quarter mile north of the H&TC depot, which was located only
a hundred feet or so west of the Katy tracks. Whether the depot was built on the land
promised by the Lancaster committee in 1885 is unknown but seems likely since
the H&TC could have acquired land for a depot east of the Katy and avoided
the need for a
crossing altogether. Whatever the case, the diamond was installed and the crossing was
uncontrolled for nearly thirty years. This meant that all trains on both lines had to come to
a complete stop before proceeding to cross.
The Lancaster Tap was never a
major branch for the H&TC, but the line carried sufficient traffic to pay its operating and
maintenance expenses into the 1920s. By 1923 and probably much earlier, the H&TC
was operating only one mixed train daily (but no trains on Sunday) from Hutchins to Lancaster
and back to Hutchins each morning. A mechanical cabin interlocker with eleven
functions designated Tower
133 was authorized for operation by RCT on February 8, 1928 to guard the
H&TC/Katy crossing at Lancaster. The interlocker
improved efficiency for Katy and T&BV trains; they no longer had to stop at
Lancaster before crossing the H&TC unless the diamond was actually occupied.
A cabin interlocker was typically a small hut (usually adjacent to the tracks
but sometimes in another nearby structure, e.g. a depot) that
housed
the interlocking plant and its controls for the signals that managed access to
the crossing. The signals would normally be set to give a "Proceed" indication
on the busier route, in this case the Katy tracks, so that Katy and T&BV trains
would not need to stop for the crossing. When an H&TC train needed to cross, it
would stop short of the diamond and a member of the train crew would enter the
hut. He would set the controls to give his train the "Proceed" signal while giving a "Stop" indication on the Katy tracks. Once the train had crossed, the crewmember would return the
controls to the normal position, allowing unrestricted movement on the Katy
tracks.
The minimum standard interlocker for a crossing of two railroads
had twelve functions: four home signals, four distant signals and four
derails, one of each in all four directions. The derails physically prevented a
locomotive from approaching the diamond without a "Proceed" signal. The distant signals gave an indication
for approaching trains to know whether they needed to begin slowing to stop short of the crossing.
The signals near the crossing, the home
signals, gave the same indication, used by trains that were stopped waiting for
the "Proceed" signal. The Tower 133 interlocker had only eleven functions; a distant signal was not needed for
northbound movements on the H&TC tracks. As the crossing was close to the
H&TC station and there were no H&TC tracks south of it, northbound H&TC trains
were simply parked there, waiting for the "Proceed" indication on the home
signal.
The precise location
of the crossing and its interlocker cabin has not been determined. RCT records held at DeGolyer
Library, Southern Methodist University, state only that the crossing was midway
between Katy mileposts 781 and 782. An H&TC employee timetable from 1923 lists
the Katy crossing and the H&TC station as having "Distance from Hutchins" of
4.44 and 4.74 miles, respectively, making the crossing 0.3 miles north of the
station. Ironically, the same timetable lists their "Distance from Houston" as
258.76 and 258.96 miles, respectively, making the crossing 0.2 miles north of
the station. None of the Sanborn Fire Insurance maps of Lancaster include
details of the vicinity of the crossing.
![]() |
Left:
This Google Earth image is annotated with the best guess for the path of
the H&TC right-of-way and the Tower
133 crossing. South of Hutchins, the H&TC right-of-way sits beneath
Lancaster Hutchins Rd. until it reaches the intersection of Pleasant Run
Rd. The road turns south but the railroad went more or less straight
ahead and then curved to cross the Katy tracks in the vicinity (and
likely north) of where Pierson St. (the unmarked street beneath "Tower
133") would project to cross the Katy tracks. Pierson St. aligns with
5th St. to the west, which appears on a 1928 Sanborn detail map showing
the H&TC and Katy tracks remaining parallel that far north. This
suggests the crossing was north of Pierson St., still within the
boundaries of Katy mileposts 781 and 782 and within 0.2 to 0.3 miles of
the H&TC station. The dashed line is simply a guess as to the route, and it's possible the crossing aligned with the next street
north, 6th St., 0.3 miles from the H&TC station. Wherever it
was, the diamond had a very acute angle.
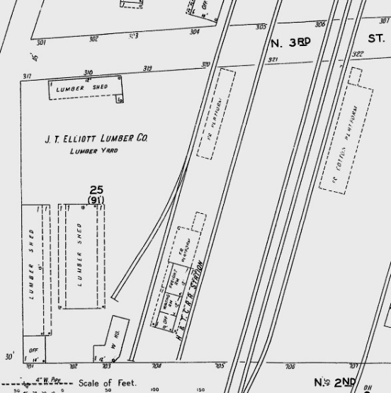
Below: 1928 Sanborn map showing the H&TC station
on N. 2nd St. near its crossing of the Katy triple tracks![]() |
![]() |
Left:
This photo looks south along the Katy tracks showing the block signal at
milepost 781.3. The
equipment cabinet visible beyond the block signal houses electronics for
the signal and the associated siding switch, and is labeled
"West Lancaster". The cabinet is about where Pierson St. would
intersect the Katy tracks and is 0.2 miles north of the site of the H&TC
depot. The hypothesized location of Tower 133 was a small distance north
of that projected intersection, but not more than 0.1 miles in order to
remain within the 0.3 mile limit from the H&TC depot. Thus, the crossing could have been within this view, or it
could have been as much as 400 ft. behind the camera. (Jim King photo,
2005) Below: This is a north-facing view of the cabinet and the block signal from the grade crossing of N. 3rd. St., milepost 781.45 on the Katy tracks. The crossing was probably north of the current cabinet site but within 0.1 miles of it. (Google Street View, October 2019) ![]() |
SP's operating company for its Texas and Louisiana
railroads was the Texas & New Orleans (T&NO) Railroad. SP leased the H&TC to the
T&NO in 1927 and then merged it into the T&NO in 1934. T&NO abandoned the
Lancaster branch that same year and the abandoned right-of-way was used for the
construction of Lancaster Hutchins Road. H&TC's dead-end branch to Lancaster was
simply too short to continue to provide value to T&NO given that the station at Hutchins
was less than five miles away offering a larger assortment of scheduled trains.
Also, the Katy and H&TC tracks at Lancaster were close and parallel, hence
businesses there probably had (or could obtain) better service from the Katy
with its busier line. By this time, Lancaster was also served by an interurban
railroad which reduced the ability of the steam railroads to capture passenger
traffic for short trips to Dallas or Waxahachie.
The
Katy tracks through Lancaster managed to survive to the present simply because they were part
of an important and lengthy north/south rail line. In 1931, a critical event
that affected Lancaster rail traffic was the end of the T&BV's receivership.
This resulted in the creation of the Burlington - Rock Island (B-RI) to own and
operate the T&BV's routes. It was effectively a paper railroad, owned equally by
Burlington Northern (BN) and the Rock Island. B-RI inherited T&BV's trackage
rights on the Katy from Waxahachie through Lancaster to Dallas and was able to
sustain a viable business on this lengthy route to Houston.
After the Rock Island's demise in 1980, the B-RI was merged into BN which continued to operate
substantial traffic between Dallas and Houston.
In 1988, the Katy was merged into Missouri Pacific (MP) which
was already a subsidiary of Union Pacific (UP). In 1990, MP abandoned a ten-mile
stretch of the Katy tracks north of Italy, leaving
a short stretch of main track south of Waxahachie to serve a business. Effectively, Waxahachie
became the
southern terminus of the former Katy line. BN was
providing the bulk of the traffic through Waxahachie on the former B-RI,
connecting to the Katy for the tracks to Dallas. In 1996, BN merged with the Atchison,
Topeka & Santa Fe (AT&SF) Railway to form BNSF. That same year, UP acquired SP
(which also had tracks through Waxahachie on a route from Ft. Worth to the SP main
line near Ennis; these tracks had become SP property by being included in the "special law"
in 1901 that allowed the H&TC's acquisition of the Lancaster Tap.) The UP/SP and BN/AT&SF mergers required legal
agreements to gain Federal approval, and one of the agreed provisions was that
UP would sell the line between Waxahachie and Dallas to BNSF. Hence, BNSF now
owns the former Katy tracks through Lancaster.

Above: This building appears
to be either a relic of the final H&TC depot in Lancaster or more likely, an
adjacent freight house. Either way, it's probably been heavily modified.
Historic aerial imagery shows the building at this
location, very close to (and perhaps "on") the site of the H&TC depot, at least as early as 1956, only 22
years after the Lancaster branch was abandoned. North 2nd St. is barely visible at far right, and the utility pole in
the distance is adjacent to the BNSF (ex-Katy) tracks. Whether the building's
structural heritage dates to the H&TC era, and if so, the extent of the
modifications, is unknown. The building was razed or removed not long after this photo was taken. (Jim King,
2005)
Below: The Katy
depot still stands trackside in Lancaster on the northwest corner of Pecan St.,
but it is located about 400 ft. farther south than it originally was. The
Lancaster Historical Society conducts meetings in the depot and appears to have
some responsibility for managing it. (Google Street View 2021)

Below: Around 1912, the Southern Traction interurban
railway built south from Dallas through Lancaster on its way to Waxahachie and
beyond. In 1916, it merged with other interurban railways in the Dallas area to
create the Texas Electric Railway. The former interurban right-of-way through
Lancaster is now Dallas Ave., and its former Lancaster station remains standing
on the northwest corner of Dallas Ave. and Main St. (Google Street View 2021)
