Texas Railroad History - Tower 37 - Vernon
A Crossing of the Ft. Worth & Denver City Railway and the St. Louis, San Francisco & Texas Railway
![]() The image above is the only picture of Tower 37 that has been found. Ironically, it appeared in the newspaper published farthest away from Vernon within the state of Texas. The robbery date is corroborated by a story in the July 9, 1927 Los Angeles Times which also identified the express train as the northbound Fort Worth & Denver City "West Texan". |
Left:
This image of Tower 37 in Vernon appeared on page 3 of the August 17, 1927 edition of the
Brownsville Herald. It was part of
a larger pictorial graphic (below
right) depicting elements of the
story which
described an attempted train robbery. Three armed men broke through the
locked door of the tower at 2:00 am and burst into the room where J. D.
Ferguson was on solo duty as the towerman. Ferguson had already seen the
headlight of an approaching express passenger train and realized that the bandits
planned to rob it by stopping the train, either by setting a stop signal
or perhaps by derailing it at the crossing. At gunpoint, the men ordered
Ferguson to "Throw that switch!", but Ferguson refused. He had
already cleared
the signals and the train was moving at high speed less than a quarter
mile away. The robbers attacked Ferguson and a struggle ensued, but
Ferguson held onto the lever long enough for the train to clear the
diamond, its crew unaware of the attempted robbery. Ferguson was knocked
out and regained consciousness fifteen minutes later, the bandits long
gone. The newspaper's caption below the graphic read... "J. D. Ferguson, septuagenarian hero of
West Texas, and the switch tower in which he fought desperate battle
against heavy odds, that passenger express might avoid disaster"Below: The September 10, 1927 edition of Railway Age carried this brief mention of the robbery foiled by Ferguson. It notes that the event took place "just before dawn on July 8", referencing a Houston Post Dispatch story (that unfortunately has not been located.) ![]() A 1928 Railroad Telegrapher reference to J. D. Ferguson's funeral stated that he had recently died at Vernon, but it did not say whether his death was related to injuries sustained during the robbery attempt. |
Vernon was founded in 1880 on land donated by Robert F. Jones. The origin of the name Vernon is disputed, but it was chosen only because Eagle Flat was rejected by the Post Office. Wilbarger County was organized the following year and Vernon became the county seat. As the Fort Worth & Denver City Railway (FW&DC) was planning to build the Texas portion of a line between its namesake cities, the route was expected to pass near Vernon. Construction began in 1882 when the FW&DC laid tracks from Fort Worth to Wichita Falls. Construction out of Wichita Falls did not resume for three years, the delay resulting from several factors, as S. G. Reed explains in his historical treatise A History of the Texas Railroads (St. Clair Publishing, 1941.)
Further building from Wichita Falls to the State line was deferred because of the repeal of the land grant act, the reduction of the passenger fare in Texas from five to three cents, and the threatened legislation to strengthen the regulation of railroads. Still another reason was that there was no assurance that a railroad which had been started from Denver to meet this road at the State line would be at the meeting point. It had suspended construction. It was not until 1886 when it gave promise of resuming work that the F. W. & D. C. decided to do so, too.
The continuation northwest from Wichita Falls reached Harrold, sixteen miles shy of Vernon, by the end of 1885. The Galveston Daily News of May 25, 1886 reported that construction beyond Harrold had resumed on the prior day. The railroad entered Vernon on September 30, 1886 with operations commencing two weeks later.
The
construction toward Vernon was tracked regularly in the
Fort Worth Daily Gazette:
left, January 20, 1885;
center, May 13, 1886;
right, October 1, 1886
Vernon would see its second railroad through the efforts of Benjamin Franklin Yoakum. B. F. Yoakum was a native Texan who had risen rapidly into the executive ranks of the San Antonio & Aransas Pass Railway in San Antonio. By April, 1893, he had relocated to Galveston, becoming Vice President and General Manager of the Gulf, Colorado & Santa Fe Railway, a subsidiary of the much larger Atchison, Topeka & Santa Fe (AT&SF, "Santa Fe") Railway. Yoakum undoubtedly took the job with the expectation that he would move up to Santa Fe corporate headquarters in Chicago in a few short years. But only two months prior to his move to Galveston, global economic conditions had caused the American economy to begin a major decline, triggered in part by the bankruptcy of the Philadelphia & Reading Railroad. The resulting Panic of 1893 caused numerous railroads to enter receivership, including Santa Fe. At that time, Santa Fe owned a subsidiary, the St. Louis & San Francisco ("Frisco") Railway, which operated complementary rail lines in the Midwest, particularly Missouri, and it likewise entered receivership at the same time. When both receiverships ended a few years later, the Frisco was independent, no longer owned by Santa Fe. In 1897 at age 38, Yoakum was hired to be the Vice President and General Manager of the Frisco based in St. Louis. Yoakum's knowledge of the Texas market led him to project the Frisco as a major player in rail service between the Midwest and Galveston. Several new rail lines were developed including tracks to Vernon. S. G. Reed explains...
In the year 1901, he decided to build from Blackwell, Oklahoma Territory to Vernon, Texas. This was chartered in Oklahoma as the Blackwell, Enid and Southwestern Ry. Co. and in Texas as the Blackwell, Enid and Texas Ry. Company. The latter was on July 2. The two were completed in 1902. While the charter for this road did not provide for extension beyond Vernon, Yoakum doubtless intended to extend it to Fort Worth and Dallas.

Newspapers followed the construction of the BE&T. As Yoakum had assembled the
investors independently, it was not formally a Frisco effort though it was
inevitable that the Frisco would buy it when completed.
Above Left:
Houston Daily Post, July 3, 1901;
Above
Center: Houston Daily Post, July 30,
1901; Above Right:
Galveston Tribune, February 2, 1902
Below Left:
El Paso Sunday Times, March 2, 1902;
Below Center:
Houston Post, June 8, 1904;
Below Right:
Houston Post, July 3, 1904

Although the Frisco acquired the Oklahoma portion of the route in early 1902, it did not legally acquire the Blackwell, Enid & Texas (BE&T) until June 30, 1904. The delay was likely related to Yoakum's desire to merge several of its Texas subsidiaries into the St. Louis, San Francisco & Texas (SLSF&T) Railway as soon as permission was granted by the Legislature. The SLSF&T was a Texas subsidiary the Frisco had chartered in 1900 to build and own tracks between Denison and the nearby Missouri, Kansas & Texas Railway bridge over the Red River, to which the Frisco had completed a line on the Oklahoma side. State law required railroads owning tracks in Texas to be headquartered in state, hence the SLSF&T became the Frisco operating company for lines into Texas from Oklahoma. Ultimately, the SLSF&T owned four disconnected Frisco lines: Red River to Carrolton; Red River to Paris; Red River to Vernon and Red River to Quanah, all of which had been chartered originally as separate railroads.

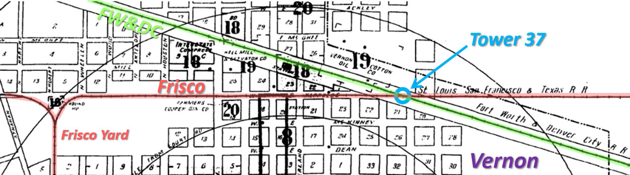
Above: Because the FW&DC ran across the northern edge of
Vernon, there was simply no way for the BE&T to serve Vernon without crossing
the FW&DC, hence the need for the Tower 37 interlocking at the Frisco /
FW&DC crossing. The tower was authorized for operation by the Railroad
Commission of Texas (RCT) on May 12, 1904. (Sanborn Fire
Insurance map, 1927)
![]() |
Tower 37 was a manned, 2-story tower that housed a Union Switch &
Signal Co. mechanical interlocking plant. RCT records
list the FW&DC as responsible for
staffing and maintaining the tower, with recurring expenses split with
the Frisco. Built about the time the 1901 law regulating interlockers
was passed, it is not known whether the crossing diamond was in place
prior to the law's effective date. If so, the capital expense
would have been split evenly between the two railroads. Otherwise, the
Frisco would have been responsible for the entire capital outlay.
Although the FW&D staffed the tower, it is not known whether they also
managed the design, procurement and construction of the tower, and the
answer can't definitively be ascertained from the tower architecture based on
the only known image of Tower 37. Left: The inspection of Tower 37 to authorize its operation was reported in the Austin Statesman of May 12, 1904. |
The Tower 37 interlocker initially
had 14 functions controlled by 14 levers. The function count changed over time,
rising to as high as 23 in 1916 and falling to 18 by 1930, after which RCT no
longer published an annual comprehensive report with interlocker details. The January, 1935
edition of Railway Signaling listed the Vernon
interlocker as having been expanded (or more likely rebuilt) in 1934 to add the
capacity for eight additional levers of which five were assigned to new
functions.
The expansion of the interlocker provides a clue to its
operations. There
was no "through route" on the Frisco tracks at Vernon that would have
justified any train movements at speed. The depot was a quarter mile west of the
tower hence Frisco
trains were always operating slowly over the diamond. This appears to have
justified converting Tower 37 to a cabin interlocker; it is listed as a such in
a 1937 FW&DC employee timetable. The signals would have been lined for the FW&DC
at all times except when a Frisco train needed to cross. This would have
eliminated the expense of staffing the tower in exchange for a limited impact to
slow-moving Frisco trains. Ultimately, it made sense to automate the interlocking. The FW&DC employee timetable
dated June 2, 1940 lists the Vernon crossing as Interlocked whereas the
corresponding timetable dated March 21, 1943 lists it as Auto Interlocked.
Sometime between those dates, the cabin was removed and the crossing was
converted to an automatic interlocker. The fate of the Tower 37 structure is
undetermined.
Yoakum did not extend the BE&T to
Dallas or Fort Worth; he had better options particularly after he took control of the Chicago, Rock Island & Pacific in 1905, effectively becoming
its CEO. Yoakum operated the Rock Island and Frisco cohesively, and they shared
traffic and routes in numerous places, particularly in north Texas. After
Yoakum's eventual departure, the two railroads remained cooperative but they
never merged.
![]() |
Left and Below: In 1929-1930, long after
Yoakum's retirement, Frisco management
planned a major project to connect northwest Texas with Fort Worth, to
compete directly with the FW&DC. This article in
The Traffic World of January 26,
1929 describes a series of applications that the Frisco submitted to the
Interstate Commerce Commission (ICC) for approval. The objective was to
create a route between Fort Worth
and Amarillo that would also intersect with Frisco lines from
Vernon and Quanah. The major component was the Frisco's acquisition of
the Gulf, Texas & Western (GT&W) Railway which had tracks from
Seymour to Salesville (about twenty-two miles south of
Jacksboro.) The plan needed Rock Island to gain ICC approval to
build a 97-mile line between Paducah and Groom, forty miles east of Amarillo on Rock Island's
main line to
Oklahoma City.![]() In addition to the Groom - Paducah line, new rails were to be laid between Vernon and Seymour, and between Seymour and Paducah. With ICC approval, the Frisco acquired the GT&W in 1930. However, as the Great Depression settled over the U.S., the State of Texas began a major effort to build and pave rural highways, making trucks viable competitors for shipping livestock. The economics of the project simply didn't add up and none of the proposed rail lines was ever built. |

Above: Under Frisco ownership, the GT&W was to be
extended from Seymour to Paducah to meet new Rock Island construction from Groom
to Paducah. At Jacksboro, an existing Rock Island branch line would be
used to reach Bridgeport, which was on Rock Island's main line between El Reno,
Oklahoma and Fort Worth. In addition to Amarillo - Fort Worth traffic, the GT&W
would begin carrying Frisco traffic between Oklahoma and Fort Worth using new
rails to be laid between Vernon and Seymour. The Frisco also owned the Quanah,
Acme & Pacific (QA&P) which ran between Quanah and
Floydada (where there was a
Santa Fe connection to Lubbock.) At Quanah, the SLSF&T had tracks north into
Oklahoma, another source of Fort Worth traffic via Paducah.
The fact that Yoakum was running both
the Frisco and the Rock Island in 1905 leads to an obvious question. Why didn't
Yoakum build the Vernon - Seymour segment to make use of Rock Island's line from
Jacksboro to Fort Worth? The simple answer is that the GT&W did not yet exist;
there were no tracks between Seymour and Jacksboro although some grading work
had been done under the charter of the Dallas & New Mexico Railway. Of course,
Yoakum could have bought out the Dallas & New Mexico and easily built the line
to Jacksboro, but he did not. Perhaps
Yoakum sensed that a long term bet on traffic through Vernon was not wise due to the vagaries of the nearby Pease River?
The Pease was notorious -- its floods were infrequent but severe. Yoakum had lived in Texas long enough to have heard tales
of devastation from flash floods along the Red River and its tributaries.
Whether this thought ever crossed his mind is unknown, but if
it did, he was prescient. The Frisco tracks into Vernon would be abandoned in 1957 due
to recurrent Pease River floods.

Above: Three aerial images from 1953
((c)historicaerials.com) have been combined to produce this map of the Frisco
and FW&DC lines near Vernon. Although the Red River was only seven miles
northeast, the proximity of the Pease River forced the original construction of the BE&T
out of Vernon to begin on a due
east heading that crossed over the FW&DC (at the future site of Tower 37) and turned slightly southeast to avoid the river. At
what is now Farm Road 1763 (orange arrow), the BE&T finally turned northeast
toward the Red River, remaining east of the Pease all the way to its confluence
with the Red. The BE&T's Red River bridge was a short distance east of the confluence.
This alignment allowed the BE&T to avoid the need to bridge the Pease between Vernon and the
Red River. However, historic imagery shows that by 1953, the Pease had forged a
new channel due east near the Red River, creating a new confluence east of the
Frisco tracks. This forced the Frisco to build a bridge over the new channel (construction date undetermined.)
The 1953 imagery also shows the Pease riverbank was beginning to threaten the
Frisco grade (blue arrow) near Vernon.
Periodic floods caused both the Pease and Red Rivers to change course multiple times, creating a major headache for both railroads. The FW&DC bridge over the Pease River about three miles west of Vernon had washed away during a flood on May 9, 1890. Additional floods over the next 70 years wreaked havoc on railroad and highway bridges in the area. This recurrent flooding caused the Pease River channel to change boundaries, eventually undermining the Frisco's Red River bridge and its grade near Vernon. In an email dated February 7, 2010, Steve Goen explained what happened...
The Frisco line was washed away on the night of April 27, 1957. The Frisco's last trains were Mixed Trains 663 and 664. The Frisco allowed the FW&D to service customers in Vernon until permission was granted to allow the Frisco to abandon the line and to sell all local trackage to the FW&D. The interlocker and diamond were removed at this time and replaced with a switch. Also, since the Pease River washed away much of the Frisco just east of the interlocker, there was no way for the FW&D to service the feed lot and facilities located east of town. So the only part of the Frisco acquired was the trackage west of the interlocker."
Both rivers have continued shifting substantially since
1953, so much so that the site of the original Frisco bridge over the Red River is now on dry
land [at 34 12 43, -99 06 04] as is the Pease River bridge visible in 1953
imagery [at 34 12 05, -99 06 01.] Rural development
and
cultivation between Vernon and the Red River over nearly 70 years has eradicated
almost all traces of the
Frisco grade. Debris piles from abandoned bridges over Paradise Creek and Dugan Creek
remain visible on satellite imagery, but little else.
On August 7,
1951, the FW&DC dropped "City" from its name becoming simply the FW&D. It later became part of the Burlington System
and is today a main line for Burlington Northern Santa Fe (BNSF). The
abandonment of the Frisco tracks into Vernon resulting from the April, 1957
flood eliminated Frisco service into Vernon, but the Frisco continued to serve Quanah,
about 28 miles west of Vernon. The former Frisco line there remains in service,
now part of BNSF.

Above: This recent Google Maps
satellite image of Vernon has been annotated to show how the southward migration
of the Pease River has placed the original right-of-way (ROW) of the Frisco
(yellow arrows) north of the river. At the time of construction, the Frisco was
well south of the main river channel (orange dashes.) It is interesting that
Google Maps shows a Western Union office (yellow rectangle) along the
abandoned Frisco ROW, undoubtedly railroad-related, even though this location is on uninhabited land near the river! In
Vernon, it appears that Wright St. (red arrows) was established atop the
abandoned Frisco ROW (yellow dashes), replacing Harrold St., its original name.
Farther west, Wright St. merges into the US 287 frontage road as the highway
jogs to the north to occupy the former Frisco ROW westward through Vernon.
Note the long string of railcars visible on the BNSF tracks (green arrows.)
Below Left: This Google Street
View looks east along Wright St. toward the former FW&DC / Frisco grade crossing.
Tower 37 sat on the south side of the diamond and would have been visible in
this view. Below Right: A
small northward shadow marks the presence of Tower 37 in this 1953 image ((c)historicaerials.com.)
North of the diamond, the visible ROW is a spur that allowed the Frisco to serve
the Vernon Cotton Oil Co.


Above: Richard Crabtree
supplies this photo of a Frisco 4-4-0 locomotive parked at the Vernon depot in
1951. The Frisco passenger depot was located on the south side of the
tracks between Main St. and Cumberland St.